Status
Engineering design
Updated: Oct 16, 2025
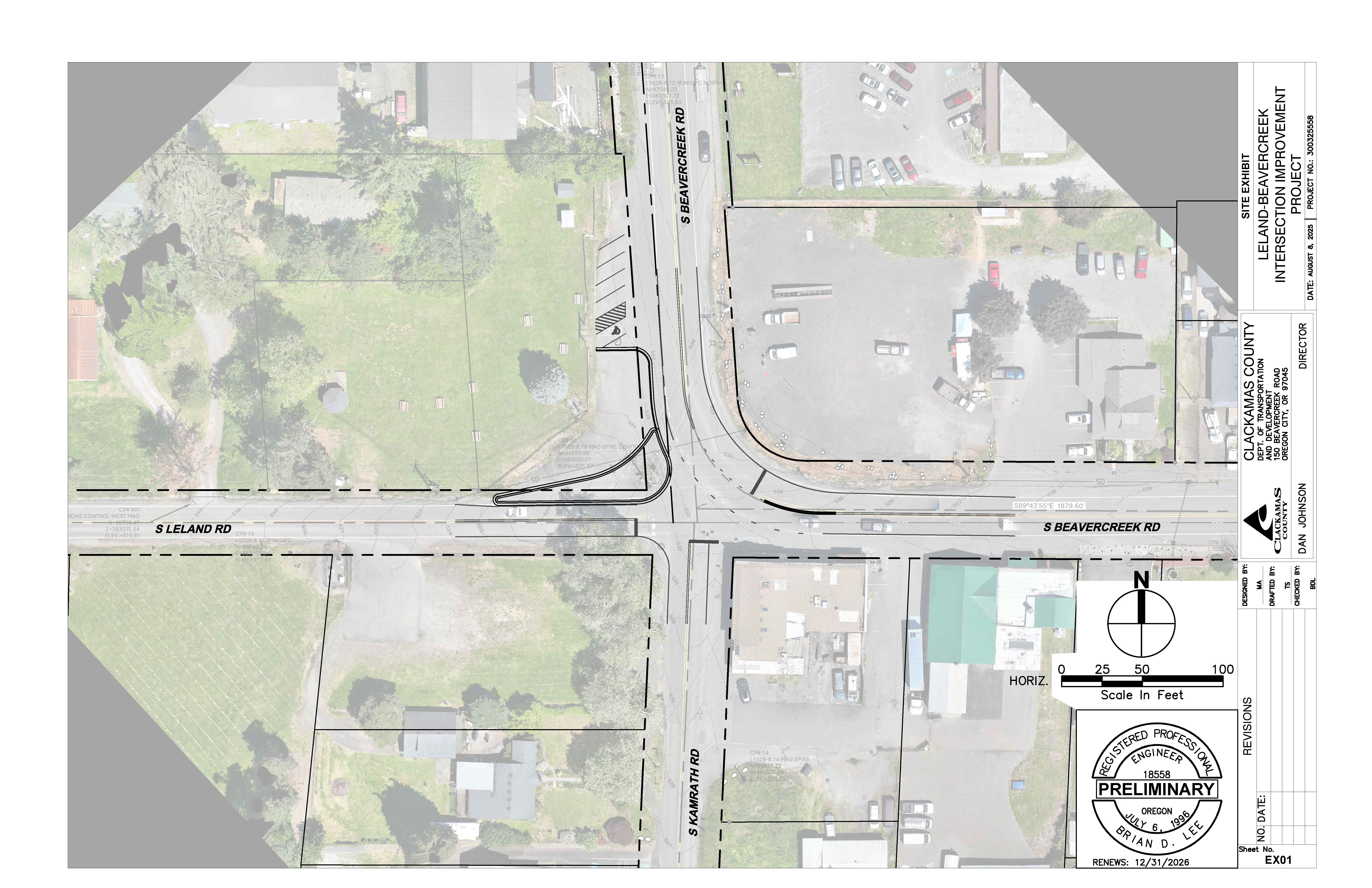
Beavercreek, Leland, and Kamrath roads are two-lane roads with a travel lane in each direction. The intersection is located on a sharp curve resulting in poor visibility. In addition, a portion of the intersection provides extra space for drivers to cut through from Beavercreek Road onto Leland Road at high speeds.
Clackamas County completed a safety analysis and design study in 2024 for the Beavercreek Road/Leland Road/Kamrath Road intersection. The purpose of the study was to develop short- and long-term improvement concepts and recommend safety enhancements. While traffic analysis data shows expected crash rates at this intersection, there have been many complaints received over the years including concerns about serious accidents and near misses.
Short-term solution
- Reduce pavement width from the northwest corner to slow traffic down and improve visibility
- NW section of intersection - Install drivable concrete curbs with a hard surface behind the curbs to help redirect vehicles and to accommodate turning trucks and trailers while promoting slower speeds and greater safety
- Along WB Beavercreek – Considering options for possible improvements made along Beavercreek Road east of the intersection that may better guide westbound travelers taking left-turns onto Leland or Kamrath roads
- Relocate utility pole(s) to improve visibility and safety
- Add and improve signs and pavement markings to guide travelers
Long-term solution
- Design a roundabout to prevent serious crashes
Why
To reduce crashes and improve safety for all roadway users.
Schedule
- Project planning and design: June 2025 - March 2026
- Construction: June 2026 - December 2026
Traffic impacts
A full road closure is not anticipated for this project. Expect rolling single lane closures during construction between 7 a.m. and 6 p.m., Monday through Friday. While we do not expect the need to work on Saturdays, it may be necessary due to weather or other factors.
Current activities
- Engineering design by PACE Engineering, Inc.
- Expect to see staff or consultants occasionally visiting the intersection.
Funding
- Project estimate $300,000
- Funding is provided from County Road Funds
Existing conditions
Examples of the project intersection are shown below.
What to expect during construction
- Construction creates noise, vibration and dust, and can disrupt normal neighborhood activity.
- Local access to all properties will be maintained, but construction may delay access.
- Expect traffic delays in and near the work area. Please observe traffic control signs and follow the directions of flaggers.
- On‐street parking will be restricted in and near the work area to create a safe work environment and to stage equipment and materials.
- Some equipment and materials may be stored on area streets overnight.
- There may be periods of inactivity between construction phases due to a variety of factors including weather, subcontractor schedules, cure time for materials and the availability of materials.
- A county inspector will be on-site during work hours and may be able to assist you with an immediate need during construction.
- Sewer, water and other utilities will remain in service during construction.
Staff contact
Bob Knorr, project manager
503-742-4680
rknorr@clackamas.us
Translate





